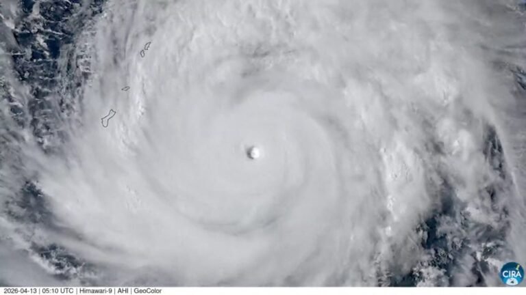
Monster typhoon in the Pacific Ocean is bearing down on group of remote US islands

A super typhoon is taking aim at several remote US islands in the Pacific Ocean, lashing Guam with heavy rain and tropical storm-force wind gusts hours before its arrival.

Scroll to Top